18 de Marzo de 2026
Buscar...
El Heraldo de Tuxpan
Un periódico del Grupo Editorial El Heraldo de Veracruz
bar
bar
bar
Sidebar
×
Tuxpan
Regional
Buscar...
Ir
Estatal
Opinión
Nacional e Internacional
Deportes
Sociales
Cultura
Policiaca
Irán enfrenta ofensiva israelí
Detalles
19 de Junio de 2025, 06:57
Presidenta propuso acuerdo a su homólogo estadounidense
Detalles
19 de Junio de 2025, 06:54
Grupo Mundo Maya anuncia su relanzamiento de marca comercial en el Hotel Tulum Aeropuerto
Detalles
18 de Junio de 2025, 11:25
Corredor Interoceánico, es proyecto de gran importancia
Detalles
19 de Junio de 2025, 06:42
Propone Claudia Cumbre Mundial por el Bienestar Económico, en la G7
Detalles
18 de Junio de 2025, 01:27
Resguardan embarcaciones en playas como Manzanillo y Caleta.
Detalles
19 de Junio de 2025, 06:39
Negativa de EU bloquea declaración del G7, mandatarios asistentes a la Cumbre del G7 no lograron un acuerdo conjunto sobre Ucrania
Detalles
18 de Junio de 2025, 01:24
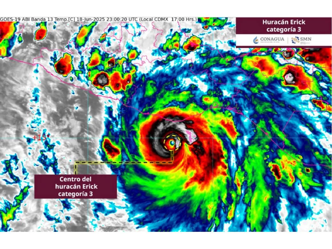
Se aproxima Huracán Erick
Detalles
19 de Junio de 2025, 06:35
Se han censado 168 mil viviendas del Infonavit
Detalles
17 de Junio de 2025, 08:56
Destaca Claudia, en la cumbre del G7, que empresarios canadienses buscan invertir en México
Se forma potencial ciclón tropical
Más de 200 mil personas abarrotaron el Salsódromo
Por primera vez, pueblos indígenas y afromexicanos ya tienen recursos directos
INE anularía 881 casillas
Israel cruzó la "línea roja": China
Arranca programa de Salud Casa por Casa
Inicia rehabilitación de la Perote – Martínez de la Torre
Acuerdan reducir 5% el precio de la tortilla
Con EUA buscamos la igualdad: Presidenta
Página 42 de 1933
Inicio
Anterior
37
38
39
40
41
42
43
44
45
46
Siguiente
Final
Lo último
Mar 17, 2026
Avanza inscripción a Beca Rita Cetina
Mar 17, 2026
Cancillería reporta mil 137 mexicanos evacuados en Medio Oriente
Mar 17, 2026
Inaugura Presidenta segundo tramo de víaducto elevado
Mar 16, 2026
Seguiremos apoyando al pueblo de Cuba: Claudia
Mar 13, 2026
Habrá más de mil centros libres para las mujeres
Mar 11, 2026
AHP rinde protesta como titular de la ASF
Mar 11, 2026
Se reúne CSP con directores de empresas nórdicas
Mar 11, 2026
Resalta Presidenta reducción de 44% en homicidios dolosos
Mar 10, 2026
Inaugura Claudia Hospital Oncológico para la mujer
Mar 09, 2026
Conmemora Claudia 8M en homenaje a las mujeres